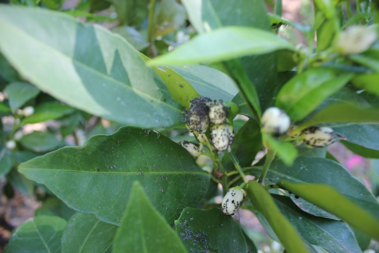
Alldeles väldigt ovälkomna inkräktare i lustgården 14 måndag Apr 2014 Originalstorlek på 5184 × 3456 ≈ Lämna en kommentar Ohyra!!! Dela detta:Tweet Skriv ut (Öppnas i ett nytt fönster) Skriv ut E-posta en länk till en vän (Öppnas i ett nytt fönster) E-post Gilla Laddar in …